高压旋喷技术在地铁车站深基坑防水工程中的应用
摘要: 以高压旋喷技术在南京地铁车站深基坑防水工程中的成功应用为例, 介绍旋喷防水帷幕的参数设计方法, 包括帷幕深度、旋喷桩孔位布置方式、施工参数和开挖边坡稳定性分析。对高压旋喷桩的关键施工工序质量控制和喷射质量的检查也进行了较为细致的讨论。从检查的施工效果来看, 该工法应用于深、软地基防水防渗工程是成功的。同时它也为类似工程的设计和施工提供参考。
关键词: 高压旋喷技术; 水力坡降; 防水帷幕
1 工程概况
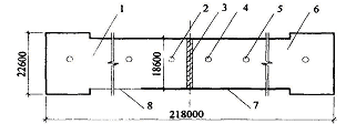
高压旋喷技术(也即高压喷射注浆法) 是利用专用旋喷设备将注入剂(通常是水泥浆) 形成高压喷射流, 借助高压喷射流的切削, 使土体和硬化剂混合, 南京地铁某车站采用地下连续墙作基坑围护结达到改良土质的目的。旋喷改良土质的目的有两个, 构, 明挖法施工。由于车站部分地下连续墙在施工时一是地基加固, 提高地基土的承载能力, 减小变形; 受地下管线影响, 而车站施工工期又十分紧张, 决定二是防水(止水) 防渗, 通过加固减少土的渗透性以将整个车站分为两部分施工, 在车站横向中部设置一形成防水帷幕, 阻止渗水或防止流砂、管涌的发生。道防水帷幕, 与车站南区形成四周封闭的隔水基坑以该工法以其受土层、土粒度和密度、硬化剂粘性和硬便先开挖。车站主体长2.8m , 宽18.6~22.6m , 防水化时间等因素的影响小, 旋喷加固体强度高、均匀性帷幕处基坑开挖深度为17m 。车站基坑平面如图1 。和抗渗性好等优点, 广泛应用于建筑、道路、地铁等该车站的土体工程地质条件为从地面往下约5m 许多部门。为杂填土和素填土, 填土层下有2m 厚粉质粘土, 车

图1 车站基坑平面1 车站北区; 2.1 号降水井; 3 防水帷幕; 4.2 号降水井; 5.3 号降水井; 6 车站南区; 7 已有地下连续墙; 8 暂未封闭的地下连续墙。
站基坑主要位于粉砂地层中, 含水量约为30 % , 饱和度为90 % , 受扰动易液化产生流砂。在这种饱和的粉细砂地层中形成防水帷幕, 普通的注浆法以其可注性和加固土体均匀性差而不太合适, 普通搅拌桩又由于加固深度所限, 经过方案合理性和经济性比较, 选用二重管高压旋喷技术施工临时防水帷幕, 而且砂层中旋喷桩体的强度要比粘性土中高。
2 旋喷桩防水帷幕设计
2.1 防水帷幕的深度确定
防水帷幕深度的确定是假定旋喷防水帷幕本身不透水, 按基坑开挖过程中可能出现管涌现象而计算出的深度。基坑管涌计算示意如图2 。
图2 基坑管涌计算1. 旋喷防水帷幕; 2. 放坡土体; 3. 基坑底板; 4 不透水层。
车站基坑开挖时, 如果向上的渗透力超过砂的有效应力, 从而导致基坑底破坏, 也即管涌现象。而渗透力取决于水力坡降, 若水力坡降大于其极限值, 则砂粒处于悬浮状态, 基坑底就丧失稳定性。工程中, 当不绘制流网线时, 常采用近似方法验算极限水力坡降。水力坡降i 计算式为i = hw/ l (3) 式中, hw 为防水帷幕前后的水头差;l 为产生水头损失的流线长度。
本例中, 考虑安全系数Fs 和允许水力坡降is 后, 式(3) 变为Fsis = Jc (4) 安全系数一般随土值的不均匀性和透水性的增大而增大。本工程的安全系数Fs 定为2 , 由n = 0.4 ,G = 2.71 , 则Jc =0.96 。从式(4) 得is =0.48 。从图2 知l = h + 2 t -h1-h2 , hw = h -h1+ h2 (5) 式中, h 为基坑深度;h1 为未降水侧地下水位深度; h2 为基坑底板与降水后水位之高度;t 为旋喷桩伸入基坑底以下的深度。本例中, h = 17m , h1= 1.5m , h2= 0.5m , 由式(5) 求得t = 9.1m , 取9m 。则旋喷防水帷幕的总深度H = h + t = 26m 。
2.2 旋喷桩布置参数
防水防渗工程设计时, 最好按双排或三排布置旋喷桩孔位。理论上旋喷桩孔距为0.86 D (D 为旋喷桩设计直径) 、排距为0.75 D 最经济。施工时要考虑所用钻机成孔的偏斜率。若只能按一排桩布置防水, 则相邻两桩孔位中心连线方向上的搭接量应不得小于实际成孔偏斜率(一般为1.5 %) 与桩长之积。
旋喷桩设计直径与土质、施工方法、工艺参数密切相关。本工程中选用北京中煤矿山工程有限公司研制的二重管旋喷设备,并结合地层特点和施工经验,按双排布置旋喷桩形成防水帷幕。旋喷桩直径为800mm , 孔距为700mm , 排距为600mm 。在设计位置共布置48 根桩。旋喷桩防水帷幕孔位布置平面示意如图3。
浆量计算以喷量法为例, 即以喷嘴单位时间喷射
图3 旋喷桩孔位布置平面示意
的浆量及喷射持续时间, 再考虑10 % 的损失系数来计算出浆量。施工时选用单位时间的喷浆量为0.1 m3/ min , 钻杆提升速度为0.15m/ min , 每根桩长按26m 计, 则每根桩的需浆量为20.8 立方米。再结合水灰比, 可以确定水泥用量。
2.3 基坑边坡稳定性分析
由于该基坑边坡主要位于砂性土层中, 基坑在开挖南区时靠近防水帷幕侧采取自然大放坡, 边坡滑动面近似为平面形式。若是粘性土坡的稳定分析则要采用圆弧滑动面的条分法计算。
当旋喷帷幕防水效果好, 边坡表面没有地下水溢出, 则边坡平面滑动安全系数Kp = tg </ tgα, 式中, < 为土的内磨擦角; α为坡角。也即当坡角等于土的内磨擦角时, 土坡处于极限平衡状态。本基坑中砂性土的内磨擦角为29°, 为保持土坡的稳定, 放坡坡角应小于29°。若坡面有地下水溢出, 则土坡的滑动安全系数要降为无水溢出时的一半。因此旋喷防水效果直接影响边坡的稳定性。
3 主要施工工序及质量控制
按设计要求定孔位→导孔钻机就位→旋喷机下放二重管→喷射成桩→回灌。施工中质量控制要留心以下几点:
① 钻机就位准确, 桩中心垂直度不大于1 % 。桩心偏移小于50mm 。
② 导孔时, 根据地层情况及时调整循环护壁泥浆液的浓度, 保证成孔质量。若确实成不了孔, 可以先从地面预注浆稳定地层, 后导孔。
③ 施工中严格控制旋喷参数, 如钻杆提升速度(15cm/ min) 、水泥浆浓度(1 ∶1) 、高压泥浆泵压力(二重管浆压不小于20MPa) 、气压(0.7MPa) 和气量(1~2立方米/ min) , 浆液流量(0.1 立方米/ min) , 保证喷射桩体的强度和均匀性。
④ 返浆正常与否对桩体质量影响很大, 若返浆量不正常, 要分析原因, 采取复喷或调整旋喷参数。若漏浆严重, 必须停止旋喷, 用水泥浆或水泥和水玻璃双液浆灌入以稳定该处地层, 确保加固质量。
⑤ 由于本工程旋喷桩是以防渗为目的, 施工时掺入3 % 的水玻璃(35Be) 以提高其抗渗性。
⑥ 旋喷结束后1 天内, 由于浆体凝固桩顶出现下沉, 应用浆液进行回灌, 保证桩体标高。
4 喷射质量的检查
施工前主要通过现场旋喷试验, 了解设计采用的旋喷参数和浆液配方是否合适, 固结体质量是否能达到设计要求。本工程的施工参数是在与之相邻车站基坑工程施工经验基础上提出的, 比较适合该工程。
施工过程中, 可以定性地通过观测旋喷返浆情况, 判断桩体连续性和均匀性。通过返浆体的强度可以推测桩体的强度。根据室内实验和工程资料, 同龄期的二重管旋喷桩体强度与返浆体强度相似。施工中取3 组7 天龄期的返浆体试块, 测得其平均单轴抗压强度达到2.0MPa 。
施工后, 待浆液凝固具有一定强度, 可以通过开挖精确检验固结体垂直度、桩径大小和固结形状。透水性可以通过现场抽水渗透试验, 测定其抗渗防水能力。现场抽水试验可以在防水帷幕的两侧进行, 即在帷幕的一侧设置抽水井, 并同时观察在帷幕两侧的观测孔水位的变化情况。本工程中帷幕设计有足够的深度, 不致使水流由帷幕的侧面大量绕过来。抽水试验可以利用靠近帷幕两侧已有的降水井(见图1) , 从2 号降水井里抽水, 观测1 、3 号降水井水位。结果是3 号降水井水位下降速度为30cm/ d , 而1 号降水井水位下降速度仅为2cm/ d 。而且车站南区在全部降水过程中, 北区的降水井水位变化较小, 当南区降水至坑底, 北区1 号降水井的水位才下降50cm , 可以看出帷幕起到了应有的隔水作用。
5 效果及评价
① 帷幕形成1 周后, 车站南半部分基坑开始开挖施工, 施工过程中帷幕侧基本无水, 防水效果良好。达到了分区开挖以节约工期的目的。待整个车站地下连续墙封闭, 挖开临时旋喷防水帷幕, 大部分桩径大于800mm , 桩体垂直度和整体性好, 形成连续的防水墙。进一步说明了该工法应用深度大、土质软的地基防水防渗工程的优越性。
② 开挖施工中, 基坑底板未出现管涌现象, 边坡也是稳定的。说明该防水帷幕的设计和施工都是合理的。
参考文献:
[ 1 ] 钱家欢, 殷宗泽1 土工原理与计算( 第二版) [ M] 1 北京: 中国水利水电出版社, 1996
[2 ] 《地基处理手册》编写委员会1 地基处理手册( 第二版) [ M] 1北京: 中国建筑工业出版社, 20001
[ 3 ] 叶书麟, 等1 地基处理与托换技术(第二版) [ M] 1 北京: 中国建筑工业出版社, 1994
[ 4 ] 刘松玉. 公路地基处理[ M] 南京: 东南大学出版社, 2000

